
原标题:大雨暴雨今晚到!昆明→
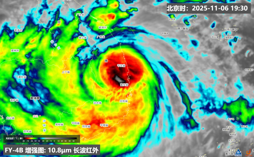
今年第25号台风“海鸥”(强台风级)的中心
已于11月6日晚上7点35分前后
在越南嘉莱省归仁市附近沿海登陆
登陆时中心附近最大风力14级(42米/秒)
中心最低气压955百帕

登陆后
“海鸥”强度将逐渐减弱

受台风“海鸥”外围云系影响
8日晚上至10日白天
云南南部有中到大雨局部暴雨
需防范局地强降雨与
前期强降水叠加区
可能发生的山洪、泥石流等气象灾害

与此同时
中东部、南部清晨局地有大雾
驾车出行需特别注意
一起看具体天气情况
↓↓
云南天气预报

11月7日20时到11月8日20时:昭通市、曲靖市、昆明市、玉溪市、楚雄州、丽江市东南部、大理州东部、文山州、红河州、西双版纳州、普洱市、临沧市多云转阵雨局部中雨,其他地区多云间晴。
11月8日20时到11月9日20时:西双版纳州、普洱市、玉溪市西部阴有中到大雨局部暴雨,文山州、红河州、曲靖市、昆明市、玉溪市东部、楚雄州南部、临沧市南部、昭通市多云间阴有小到中雨局部大雨,迪庆州、丽江市大部、大理州北部、怒江州多云,其他地区多云有分散阵雨。
11月9日20时到11月10日20时:西双版纳州、普洱市南部、玉溪市南部、红河州南部阴有中到大雨局部暴雨,迪庆州、丽江市、楚雄州西北部、大理州、怒江州、保山市、德宏州多云,其他地区多云有小雨局部中雨。
昆明天气预报

来源:中央气象台、云南气象、中国天气网
云南日报-云新闻编辑:赵婷婷